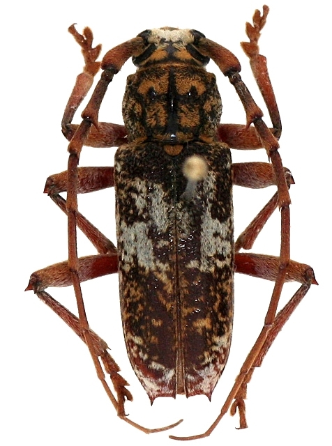
Lanephus njumanii  Cerambycinae  Phoracanthini
Lanephus njumanii (Haldeman, 1847)
male, Bolivia

Distribution:
Brazil, Bolivia