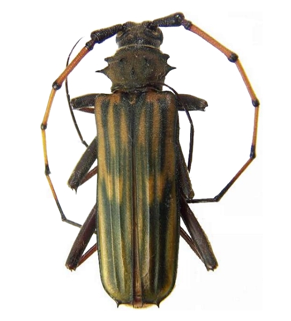
Chlorida spinosa Cerambycinae  Bothriospilini
Chlorida spinosa Aurivillius, 1887
male

Distribution:
Peru, Colombia, Bolivia