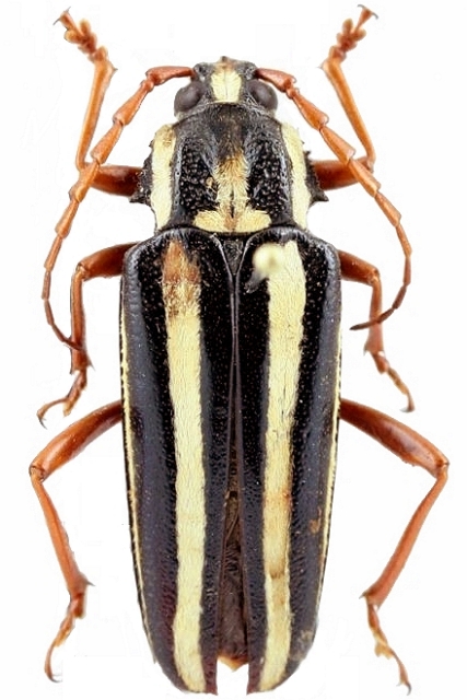
Elateropsis lineatus Prioninae  Solenopterini
Elateropsis lineatus (von Linné, 1758)
male, Cuba

Distribution:
Antilles (Cuba, Jamaica, Guadeloupe)