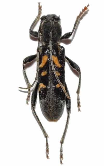
Anaglyptus (Anaglyptus) luteofasciatus Cerambycinae  Anaglyptini
Anaglyptus (Anaglyptus) luteofasciatus Pic, 1905
male

Distribution:
Greece