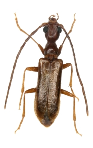
Vesperus jertensis Vesperidae  Vesperini
Vesperus jertensis Bercedo & Bahillo, 1999
male

Distribution:
Spain