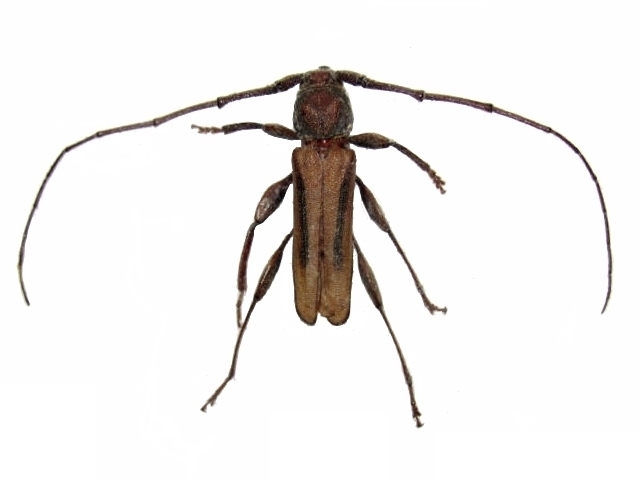
Xystrocera abrupta Cerambycinae  Xystrocerini
Xystrocera abrupta Aurivillius, 1908
male, Cameroon

Distribution:
Cameroon, Central Africa, Congo, Zaire, Chad, Angola, Uganda, Tanzania