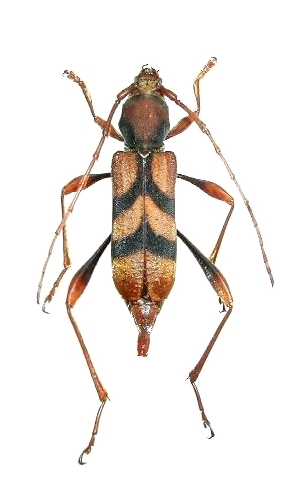
Aridaeus thoracicus Cerambycinae  Heteropsini
Aridaeus thoracicus (Donovan, 1805)
female, Australia

Distribution:
Australia, New Zealand