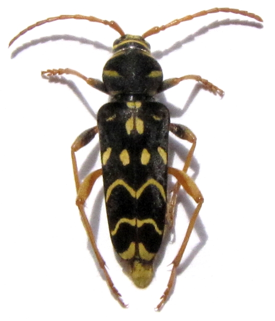
Plagionotus (Plagionotus) arcuatus ghidottii Cerambycinae  Clytini
Plagionotus (Plagionotus) arcuatus ghidottii Pesarini & Sabbadini, 2011
male

Distribution:
Greece (Crete)