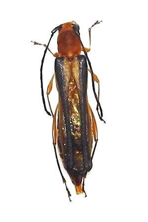
Thranius irregularis Cerambycinae  Thraniini
Thranius irregularis Pic, 1927
female

Distribution:
Vietnam