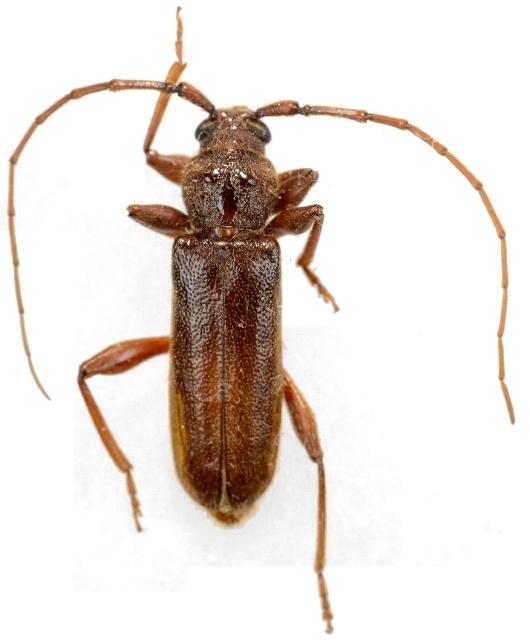
Meganoplium imbelle Cerambycinae  Hesperophanini
Meganoplium imbelle (LeConte, 1881)
male, California (USA)

Distribution:
sw USA (California), nw Mexico