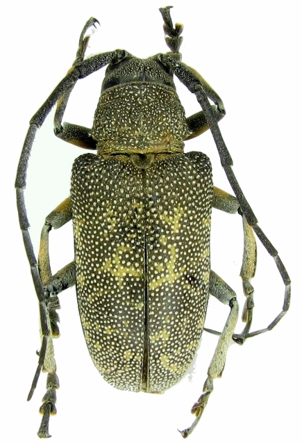
Titoceres jaspideus Lamiinae  Ceroplesini
Titoceres jaspideus (Audinet-Serville, 1835)
Tanzania

Distribution:
Algeria, Morocco, Mauritania, Senegal, Niger, Chad, Sudan, Namibia, Somalia, Tanzania