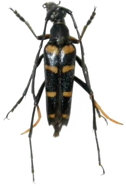
Leptura (Leptura) subtilis Lepturinae  Lepturini
Leptura (Leptura) subtilis (Bates, 1884)
male

Distribution:
China (Hubei), Japan