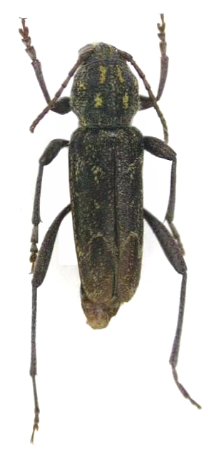
Xylotrechus rusticus Cerambycinae  Clytini
Xylotrechus rusticus (von Linné, 1758)


Distribution:
Portugal Spain, France Belgium Switzerland Italy Germany Austria Denmark Sweden Norway Finland Poland Czech Rep. Slovakia, Hungary, Slovenia Croatia Serbia Albania Romania Bulgaria Greece Turkey Russia Kazakhstan Mongolia n-China Korea Japan