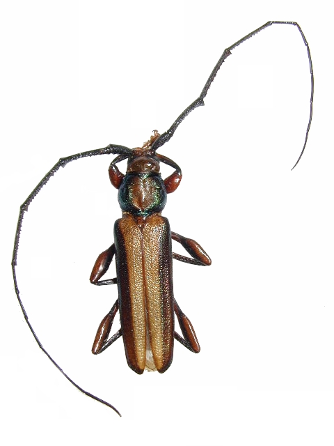
Xystrocera festiva Cerambycinae  Xystrocerini
Xystrocera festiva Thomson, 1861
male

Distribution:
Myanmar, Thailand, Malaysia, Laos, Vietnam, Borneo, Indonesia (Sumatra, Java)