| T O P I C R E V I E W |
| Robert |
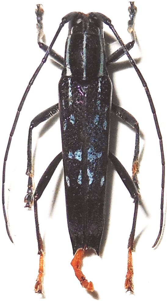
Posted - 13/01/2021 : 02:37:05  130.03 KB
Bornéo, Sabah, Mont Trus madi, 23-III-2009. 16 mm. |
| 7 L A T E S T R E P L I E S (Newest First) |
| dryobius |
Posted - 15/01/2021 : 02:53:43 Robert.. I have 8 specimens which I'm calling elegans. Some have very little white pubescence rubbed off, while a few have apparently lost some pubescence near the elytral apex; In addition, 2 specimens have lost the pubescent white line in the middle of the pronotum.
I could have two species, but I think it is slightly more likely that I just have one species.
I doubt if my answer helps you. Good luck. Maybe someday, somebody will study this group in its entirety. |
| Francesco |
Posted - 14/01/2021 : 21:05:57 quote: Originally posted by dryobius
G. elegans has a number of synonyms and seems to be very widespread (according to TITAN).
Actually, Titan quotes a number of erroneous localities (Laos, Philippines, New Guinea), where other species are present (venus and beatrix). G. elegans should not be widespread beyond Malaysia-Borneo-Sumatra-Java.
This species is easily recognisable for its pronotum enlarged at base. Possibly, some chromatic forms might be real subspecies or sibling species. |
| Robert |
Posted - 14/01/2021 : 18:29:32 Dan, do you have individuals that have the apical white spot on elytra almost as dark as the background, and the 3 sets of spots above with a blueish tinge? Do you have intermediate specimens? |
| dryobius |
Posted - 14/01/2021 : 12:23:54 I believe it is just G. elegans (very common in Sabah) and frequently with white pubescence rubbed off a little, or a lot.
G. elegans has a number of synonyms and seems to be very widespread (according to TITAN). It's unlikely that it is a new species, but there could be a number of very, very similar, closely related taxa. |
| Bennyboymothman |
Posted - 13/01/2021 : 21:25:20 I think it's a new species, I will look into it further. |
| Robert |
Posted - 13/01/2021 : 20:56:36 Not sure if it is elegans. Might be something else. My specimen is more like this one, with the apical spots almost blending in with its surroundings. |
| Xavier |
Posted - 13/01/2021 : 06:59:05 Glenea (Macroglenea) elegans (Olivier, 1795)? I have never checked if it is really the same species in Laos, Philippines, Borneo, etc |