Cerambycoidea Forum
Cerambycoidea Forum
Home | Profile | Register | Active Topics | Members | Search | FAQ
Username:
Password:
Save Password
Forgot your Password?

 All Forums
 Cerambycidae Cerambycinae
 Glaucytini
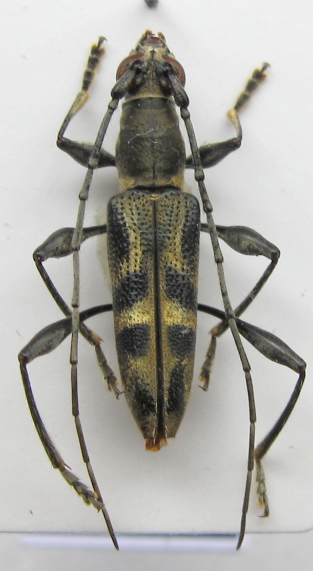
 Laos: Polyphida metallica
 New Topic  Reply to Topic
 Send Topic to a Friend
 Printer Friendly
| More
Author Previous Topic Topic Next Topic  

Benjamin
Member Purpuricenus

France
157 Posts

Posted - 25/09/2012 :  14:09:21  Show Profile  Email Poster  Reply with Quote


Bonjour,
Celui-là, cela fait un moment qu'il traine sans nom. Je ne sais pas dans quel tiroir le mettre....

Edited by - Xavier on 31/01/2016 14:30:26

Francesco
Forum Admin

Luxembourg
9674 Posts

Posted - 25/09/2012 :  15:03:39  Show Profile  Email Poster  Visit Francesco's Homepage  Reply with Quote
Il s'agit d'une Polyphida Pascoe, 1869 (Glaucytini).
Go to Top of Page

Benjamin
Member Purpuricenus

France
157 Posts

Posted - 25/09/2012 :  15:26:35  Show Profile  Email Poster  Reply with Quote
Merci Francesco.
Je viens de regarder la description de (Gahan, 1906) et cela correspond assez bien. Je viens aussi de m'apercevoir que cette espèce était illustrée dans le Breuning (j'étais passé complétement à côté) et là-aussi cela semble bien coller.
Go to Top of Page
  Previous Topic Topic Next Topic  
 New Topic  Reply to Topic
 Send Topic to a Friend
 Printer Friendly
| More
Jump To:
Cerambycoidea Forum © 2000-08 Snitz Communications Go To Top Of Page
Powered By: Snitz Forums 2000 Version 3.4.07