| Author |
Topic  |
|
|
Gerard
Scientific Collaborator
    
France
5441 Posts |
Posted - 08/10/2012 : 21:58:16
|

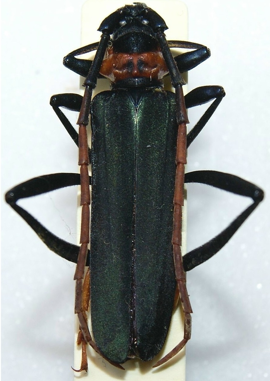
LAOS, Houa Phan, 01.V.2012, taille 48 mm
Bonjour Francesco j'ai doute sur celui ci je pense a Aphrodisium delatouchei comment tu sépare les différentes espèces? |
|
|
Gerard
Scientific Collaborator
    
France
5441 Posts |
Posted - 17/11/2012 : 15:44:19
|
Vietnam, Tam Dao,
Regarde cette autre bête, on peut voir une différence au niveau de l'apex des élytres. Divergente pour la femelle et jointe pour le mâle. A mon avis la première bête est une femelle immature d'A. faldermannii et la deuxième est un mâle de A. delatouchei. Que penses-tu de cette différence ? A ton sur les descriptions des mentions de ça ?
|
 |
|
|
Francesco
Forum Admin
    
Luxembourg
9603 Posts |
Posted - 18/11/2012 : 18:46:11
|
 Callichroma faldermannii Saunders, 1853
Non, Tomentaromia est un genre très proche d'Aromia (ici le dessin original, à peine j'ai un peu de lumière je poste la photo des spécimens de Podaný).
Le premier spécimen est juste une femelle d’Aphrodisium delatouchei. Même l’exemplaire de la fig. 268 du livre de China est un delatouchei. Cette faute d’identification (faldermanni au lieu de delatouchei) avait été déjà remarquée par Podaný (1971: 284), qui avait signalisé que presque tous les delatouchei qu’il avait vu avaient été identifiés erronément par Gressitt. Ce remarque a évidemment échappé aux auteurs du livre de China et la faute persiste encore là... on espère qu'ils regardent au moins ce forum... Il est possible qu'il soit un peu immature par rapport à celui de la gallery, mais la couleur jaune du ventre est typique de cette espèce. Ensuite je regarde l'autre. |
 |
|
|
Xavier
Scientific Collaborator
    
France
12504 Posts |
|
|
Gerard
Scientific Collaborator
    
France
5441 Posts |
Posted - 25/11/2012 : 18:13:39
|
Thailande, Chiang Mai, Fang, taille 51 mm Bonjour voici une nouvelle bête de provenance différente, j'espère que ca nous permettra de voir plus clair.  |
 |
|
|
Francesco
Forum Admin
    
Luxembourg
9603 Posts |
Posted - 25/11/2012 : 19:30:35
|
Selon Podaný, soit A. delatouchei que A. rufiventris ont l'abdomen testacée. La différence plus évidente est une tache noire sur le pronotum typique de rufiventris. |
 |
|
|
Andre
Member Rosenbergia
   
Germany
1739 Posts |
Posted - 02/03/2013 : 22:43:28
|
 405.39 KB
Hallo Gerard und Francesco, Hier noch einige Farbvarianten von Tomentaromia. Links ein Male von C - Vietnam. Die Unterseite dunkelblau, Sternite am Vorder - und Hinterrand lang gelb behaart. Rechts ein Male aus Vietnam, Tam Dao mit komplett dunkler Unterseite und kurz hellbraun tomentiert. |
 |
|
|
Andre
Member Rosenbergia
   
Germany
1739 Posts |
Posted - 02/03/2013 : 22:56:55
|
 477.31 KB
linke Seite eine Female, Nord - Laos, Unterseite grünlich, letzte vier Sternite hellbraun; rechte Seite ein Male aus Nord - Laos, Unterseite ähnlich dem Female. |
 |
|
|
Andre
Member Rosenbergia
   
Germany
1739 Posts |
Posted - 02/03/2013 : 23:00:33
|
 491.85 KB
Hier noch ein besseres Bild vom Pronotum des Male von Nord - Laos. Sorry, ich kriege das Bild nicht kleiner hin |
 |
|
|
Francesco
Forum Admin
    
Luxembourg
9603 Posts |
Posted - 20/08/2013 : 11:11:53
|
 496.1 KB
Laut Podaný, das sollte Aphrodisium rufiventris sein. |
 |
|
|
Francesco
Forum Admin
    
Luxembourg
9603 Posts |
Posted - 20/08/2013 : 11:13:44
|
 436.12 KB
...das ist Tomentaromia f. faldermannii... |
 |
|
|
Francesco
Forum Admin
    
Luxembourg
9603 Posts |
Posted - 20/08/2013 : 11:17:43
|
 507.51 KB
und das noch mal Aphrodisium delatouchei. Die Form mit komplett grünen Elytren gehört der Varietät klapperichi Podaný, 1971 (ungültig). |
 |
|
|
Francesco
Forum Admin
    
Luxembourg
9603 Posts |
Posted - 27/05/2024 : 18:57:00
|
| Tomentaromia delatouchii (Fairmaire, 1886) after the last revision. |
 |
|
| |
Topic  |
|