Cerambycoidea Forum
Cerambycoidea Forum
Home | Profile | Register | Active Topics | Members | Search | FAQ
Username:
Password:
Save Password
Forgot your Password?

 All Forums
 Cerambycidae Lamiinae
 Ancylonotini
 Cameroun: Aderpas congolensis congolensis?
 New Topic  Reply to Topic
 Send Topic to a Friend
 Printer Friendly
| More
Author Previous Topic Topic Next Topic  

Sergi
Member Rosenbergia

Spain
1793 Posts

Posted - 14/06/2015 :  09:25:41  Show Profile  Email Poster  Reply with Quote

197.52 KB

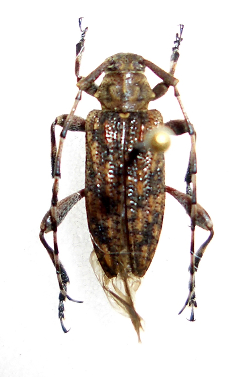
From Cameroun, Mbalmayo.
Size: 10 mm

Jérôme Sudre
Member Rosenbergia

France
1816 Posts

Posted - 14/06/2015 :  19:15:11  Show Profile  Email Poster  Reply with Quote
A priori Aderpas quadricostatus ssp congolensis Hintz ?
Go to Top of Page

Francesco
Forum Admin

Luxembourg
9653 Posts

Posted - 14/06/2015 :  20:15:18  Show Profile  Email Poster  Visit Francesco's Homepage  Reply with Quote
Pardonne Jérôme, c'est à dire Aderpas congolensis congolensis Hintz, 1913.
Go to Top of Page

Jérôme Sudre
Member Rosenbergia

France
1816 Posts

Posted - 14/06/2015 :  20:29:30  Show Profile  Email Poster  Reply with Quote
Oui....désolé, J'avais mis ton article de 2011 dans mon fichier à A congolensis mais je ne l'avais pas intégré dans ma fiche congolensis quadricostatus ce qui fait que je suis resté sur l'article de Téocchi et al 2004 et 2008 c'est à dire quadricostatus congolensis...
Go to Top of Page
  Previous Topic Topic Next Topic  
 New Topic  Reply to Topic
 Send Topic to a Friend
 Printer Friendly
| More
Jump To:
Cerambycoidea Forum © 2000-08 Snitz Communications Go To Top Of Page
Powered By: Snitz Forums 2000 Version 3.4.07