| Author |
Topic  |
|
|
BillTyson
Member Rosenbergia
   
USA
1200 Posts |
Posted - 21/06/2016 : 20:46:51
|
 38.89 KB
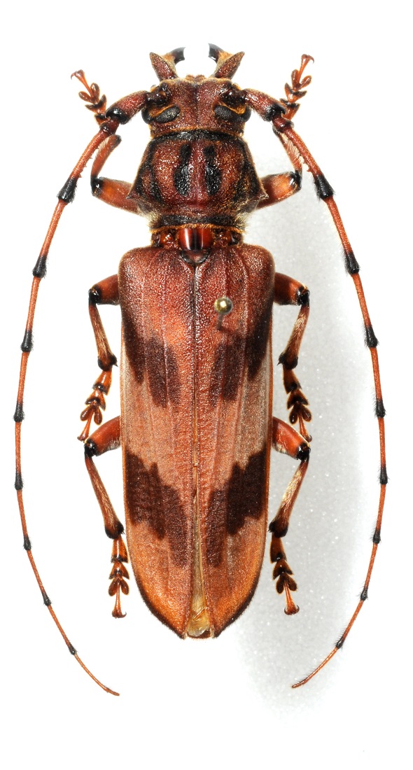
Kon Tum Prov., Ngoc Linh Mt. 1700 m, april 32 mm. Seems to be different than Oplatocera maculata. Has a divided Pronotal spot. |
|
|
Capitaine
Scientific Collaborator
   
France
1850 Posts |
Posted - 02/07/2016 : 11:56:43
|
With these strong mandibles, it's not without remind O.mandibularis... but this species is endemic to Taiwan! |
Claude |
 |
|
|
Pierre
Member Rosenbergia
   
Switzerland
1840 Posts |
Posted - 31/01/2022 : 15:03:37
|
I don't think that they belong to the same species. As far as I can see on Bill's photo, his specimen is the same I have from Central Vietnam / Gia Lai, 34mm (+ mandibels).
 188.22 KB
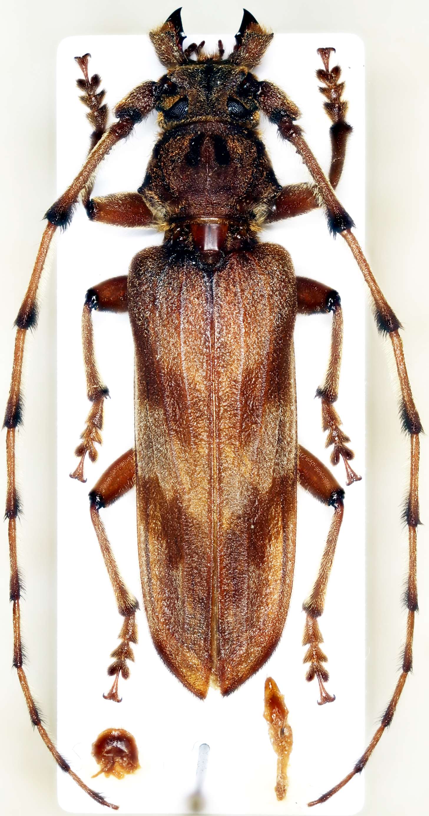
Here O. mandibularis from Taiwan / Alishan, Chiayi. 43mm (+ manibels).
 202.58 KB
O. mandibularis is different from the Vietnam species in shape of mandibula, pronotal hair spots, general greyish colour, details of the antennal granulation, etc. etc.
I think the Vietnam taxon could be new. |
Edited by - Pierre on 31/01/2022 17:29:41 |
 |
|
|
Andre
Member Rosenbergia
   
Germany
1749 Posts |
Posted - 10/09/2023 : 17:12:54
|
Might be the same one, also from Kon Tum Pr., male, 30mm (without mandibles). The short scapus is remarkable.
 490.33 KB |
 |
|
|
Pierre
Member Rosenbergia
   
Switzerland
1840 Posts |
Posted - 11/04/2026 : 13:36:55
|
The three vietnamese specimen (Bill Tyson, Andre Skale, Pierre Haller) are males of a new item from Central Vietnam: Epioplatocera forcipata Haller & Drouin, 2026.
The item from Taiwan is Epioplatocera mandibulata (Miwa & Mitono, 1935).
The complete revision is available in the march issue of the Cahiers Magellanes 54.
|
Edited by - Pierre on 12/04/2026 08:36:53 |
 |
|
| |
Topic  |
|