| Author |
Topic  |
|
|
L. Hart
Member Purpuricenus
 
United Kingdom
425 Posts |
Posted - 03/05/2017 : 21:49:46
|
 
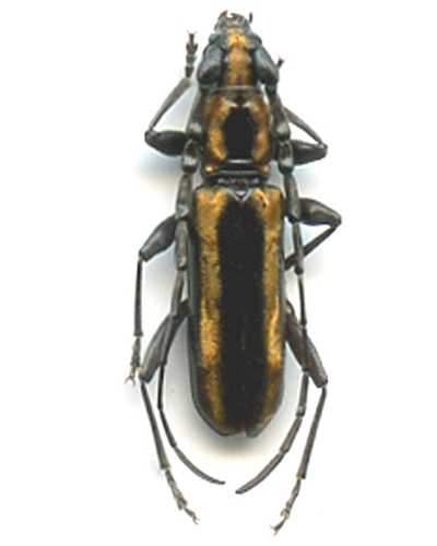
Looking for correct id. Tanzania, Male 13/14 mm Female 16 mm |
Edited by - L. Hart on 13/05/2017 12:34:44 |
|
|
L. Hart
Member Purpuricenus
 
United Kingdom
425 Posts |
Posted - 12/05/2017 : 16:09:27
|
| Has no one any ideas about this one ?? |
 |
|
|
dryobius
Member Rosenbergia
   
USA
1918 Posts |
Posted - 13/05/2017 : 02:41:07
|
I think it is a Ptycholaemus. One of the African specialists should be able to identify it to species. |
 |
|
|
Sergi
Member Rosenbergia
   
Spain
1793 Posts |
Posted - 13/05/2017 : 09:23:26
|
| Maybe Striatoptycholaemus variecollis (Schwarzer, 1931) |
 |
|
|
Pierre
Member Rosenbergia
   
Switzerland
1841 Posts |
Posted - 13/05/2017 : 09:45:43
|
Fuzzy topic, already discussed here.
Now, basing on Adlbauer's writings which are so far the only complete study we have, I see 2 possibilities (the problem is that the photo does not clearly show the surface of the pronotum). - Either Ptycholaemus troberti Chevrolat, 1858, but usually this species has bright silvery vittae. Here they appear yellowish golden but this could be due to the photo, or some grease to remove. - Or we have Striatoptycholaemus variecollis Schwarzer, 1931, the large and flattened antennal joints fit well with this item. |
 |
|
|
L. Hart
Member Purpuricenus
 
United Kingdom
425 Posts |
Posted - 13/05/2017 : 12:33:46
|
Thanks everone for there help.
I have looked closely at your link Pierre and as far as I can tell it is nearest to Striatoptycholaemus variecollis Schwarzer, 1931, but with some differences, apart from slight difference in pronotum, mine has much shorter antenna and is from Tanzania not Cameroon. I can confirm that my images are pretty accurate in colour and I would rule out Ptycholaemus troberti Chevrolat, 1858, I cannot find any images of Derolus gabunensis so have no way of comparing them. I have attached a close up of pronotum, still not very clear but best I could do
 54.64 KB |
Edited by - L. Hart on 13/05/2017 12:36:15 |
 |
|
|
Francesco
Forum Admin
    
Luxembourg
9680 Posts |
Posted - 18/06/2017 : 08:26:07
|
This species does not correspond to none of the already described ones. It is about a Derolus (= Ptycholaemus, Striatoptycholaemus, see here) of arid habitats, still to be described. This might explain the short antennae.
I move the topic into the secret section.
Ps. Derolus gabunensis is the first species of this topic. |
 |
|
|
africaone
Member Purpuricenus
 
Belgium
486 Posts |
Posted - 18/06/2017 : 09:57:05
|
| I have something like that from Katanga (PN Upemba, 2002) .... determined with a "?" |
s'il n'y pas de solution c'est qu'il n'y a pas de problème ! akuna matata .... |
 |
|
|
Francesco
Forum Admin
    
Luxembourg
9680 Posts |
Posted - 01/03/2026 : 19:10:44
|
I have just bought the same species coming from Tanzania, Morogoro, but I cannot identify the exact locality: Nguu Mts.? Where are coming your specomens from, Len? |
 |
|
|
Vitali
Member Rosenbergia
   
Estonia
1022 Posts |
Posted - 02/03/2026 : 11:16:15
|
| If it is Morogoro, then it might be Uluguru mts. I have many insects from that area. |
 |
|
|
Francesco
Forum Admin
    
Luxembourg
9680 Posts |
Posted - 02/03/2026 : 21:26:31
|
Un grand merci Pierre! Mais je pense qu'il s'agit des Mts. Nguru. |
 |
|
|
Pierre
Member Rosenbergia
   
Switzerland
1841 Posts |
Posted - 03/03/2026 : 10:25:25
|
| Euh... Vitali, c'est Vitali, pas moi... |
 |
|
|
Francesco
Forum Admin
    
Luxembourg
9680 Posts |
Posted - 30/04/2026 : 10:59:22
|
I have described this species as Ptycholaemus puncticollis n. sp.
PDF available here. |
 |
|
| |
Topic  |
|