|
znort
Member Rosalia
  
France
511 Posts |
Posted - 15/08/2022 : 18:37:05
|
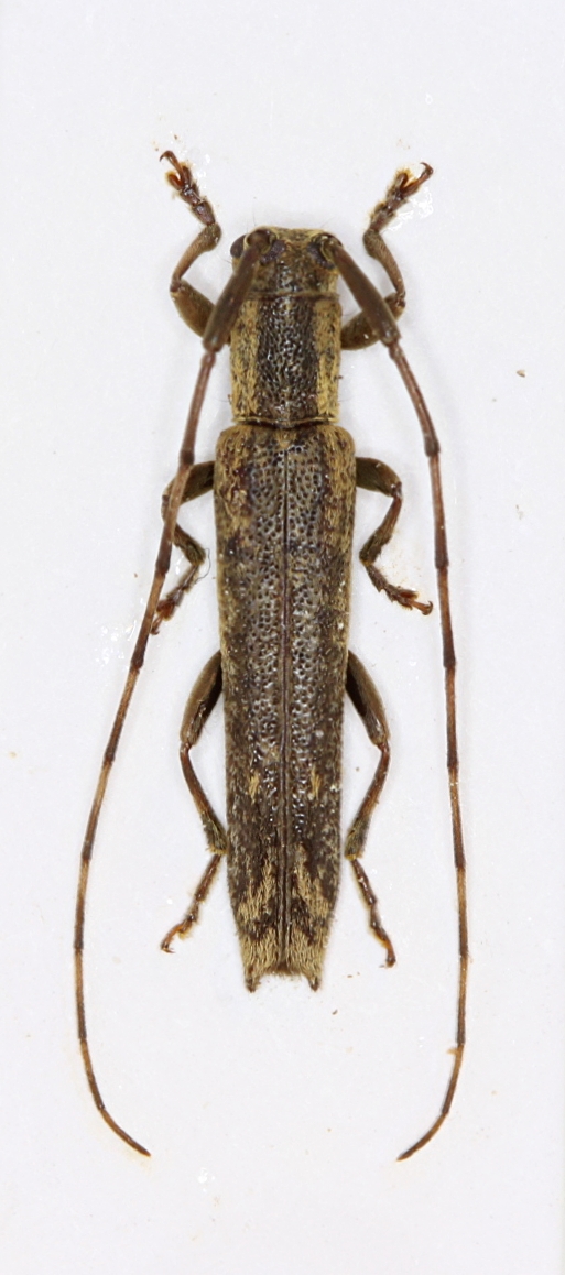
 336.92 KB Euseboides matsudai spinipennis Gressitt, 1940
Un Desmiphorini sympathique trouvé en quelques exemplaires au battage de bois divers ŕ Hainan. |
Chinese Cerambycidae |
Edited by - znort on 05/09/2022 02:34:08 |
|