|
Pierre
Member Rosenbergia
   
Switzerland
1842 Posts |
Posted - 31/10/2022 : 22:54:53
|
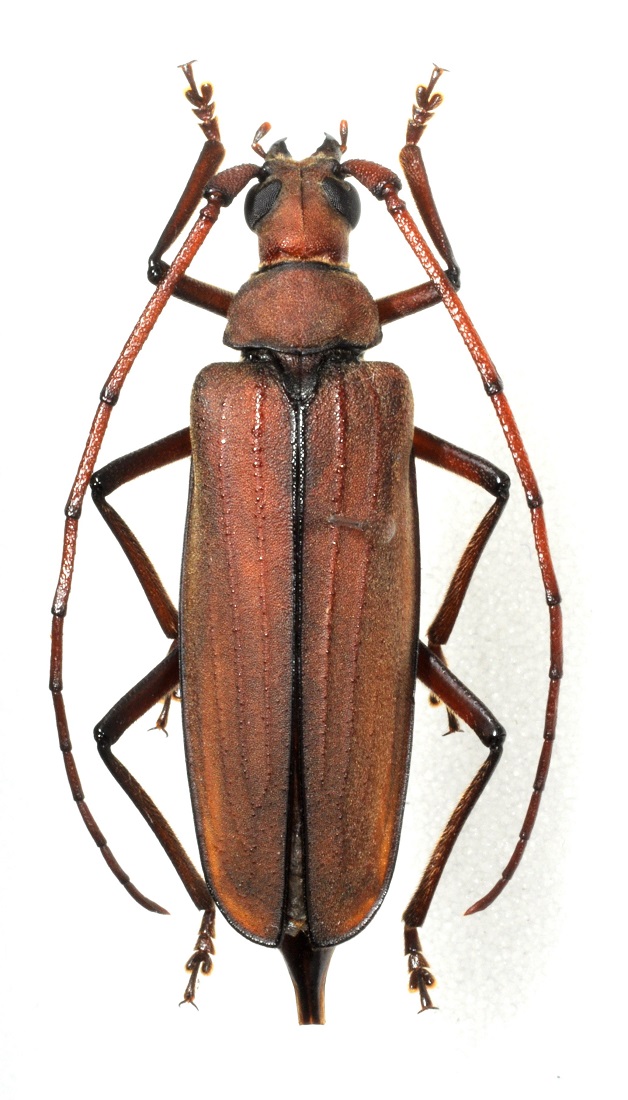
 206.42 KB
Vietnam, Mù Cang Chai, Yên Bai. 30mm (apex - labrum). Belle espèce; avant corps brun roux, suture noire brillante, et granules brillantes ici et là sur le côtes. |
Edited by - Xavier on 02/11/2022 17:09:09 |
|