|
Gerard
Scientific Collaborator
    
France
5484 Posts |
Posted - 09/10/2023 : 21:35:27
|
  184.81 KB
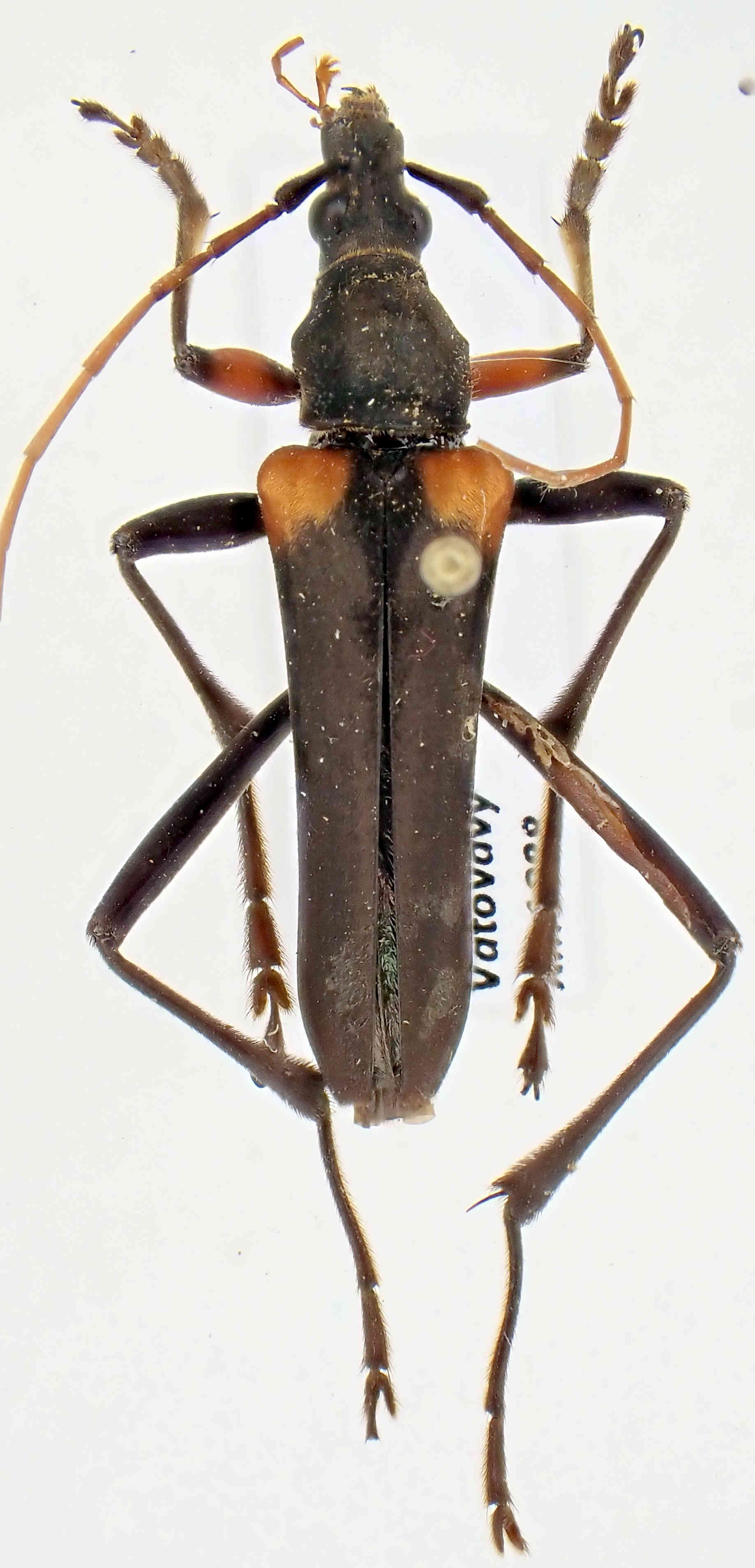
Madagascar, Kiajavato, Vatovavy, taille 20 mm
Je n'ai pas trouvé cette bête dans le bouquin sur les Dorcasominae de Madagascar. |
Edited by - Gerard on 21/09/2025 13:21:28 |
|
|
Gerard
Scientific Collaborator
    
France
5484 Posts |
Posted - 21/09/2025 : 13:21:01
|
Bonjour je remonte ce poste. Cette bête était nouvelle, maintenant décrite par: SOO-HYUN JEONG1, EDUARD VIVES & DUANE D. MCKENNA1,2025 A taxonomic revision of the Madagascar-endemic longhorn beetle genus Tsivoka Villiers (Coleoptera: Cerambycidae) with the description of a new species
Tsivoka humeralis Jeong, Vives, McKena, 2025 |
 |
|