| Author |
Topic  |
|
|
FraRug
Member Purpuricenus
 
Italy
222 Posts |
Posted - 06/02/2025 : 11:51:02
|
 
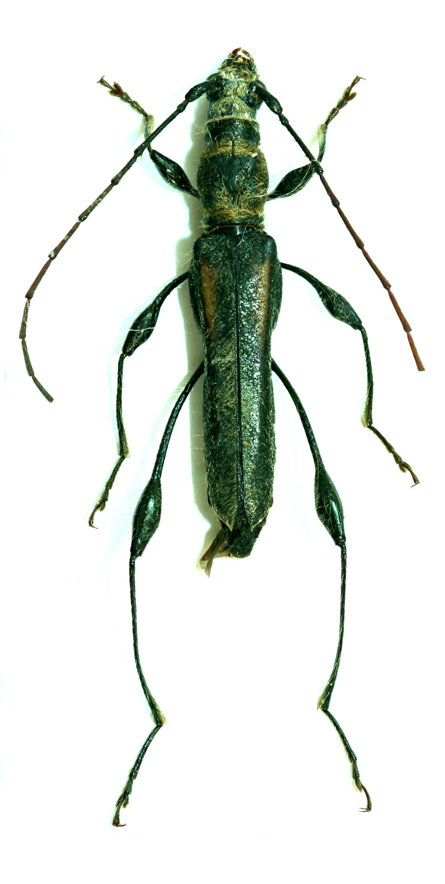
Vietnam, Yen Bai. 12 mm.
J'ai quelques doutes sur cet Artimpaza du Vietnam: le scutellum à pubescence foncée (jaune uniquement et étroitement sur les bords), les élytres acuminés apicalement, la pubescence duveteuse sur le pronotum et une courte ligne ocre sur chaque élytre semblent exclure tous les Artimpaza décrits de la région... |
|
|
Robert
Member Rosenbergia
   
Canada
1351 Posts |
Posted - 07/01/2026 : 03:13:18
|
Salut Francesco,
J'ai deux Artimpaza (Vietnam, Yen Bai) qui pourraient être de la même espèce que le tien:
 508.25 KB
Les élytres sont acuminés apicalement. Ils ne semblent pas avoir cette courte ligne ocre sur chaque élytre, mais j'en vois une légère trace à fort grossissement. Voici une photo du pronotum, et une autre du premier segment des métatarses qui est très recourbé:
 512.2 KB
 489.24 KB |
Robert V. |
Edited by - Robert on 07/01/2026 03:14:13 |
 |
|
|
FraRug
Member Purpuricenus
 
Italy
222 Posts |
Posted - 07/01/2026 : 11:06:22
|
Salut Robert,
Je pense vraiment qu'il s'agit de la même espèce (les courtes lignes ocre sont très variables, voire absentes, chez de nombreuses espèces d'Artimpaza). Concernant cette espèce à l'aspect « poilu », on trouvera quelques précisions dans les Cahiers n° 53...  |
 |
|
|
FraRug
Member Purpuricenus
 
Italy
222 Posts |
Posted - 07/01/2026 : 15:57:13
|
| les spécimens sur les photos sont maintenant Artimpaza villosa Ruggiero, 2025 |
 |
|
|
Robert
Member Rosenbergia
   
Canada
1351 Posts |
Posted - 07/01/2026 : 17:34:02
|
Félicitations Francesco!!  |
Robert V. |
 |
|
|
FraRug
Member Purpuricenus
 
Italy
222 Posts |
Posted - 07/01/2026 : 22:55:24
|
| Merci, Robert! |
 |
|
| |
Topic  |
|