| Author |
Topic  |
|
|
Gerard
Scientific Collaborator
    
France
5486 Posts |
Posted - 01/10/2025 : 14:47:20
|
 252.95 KB
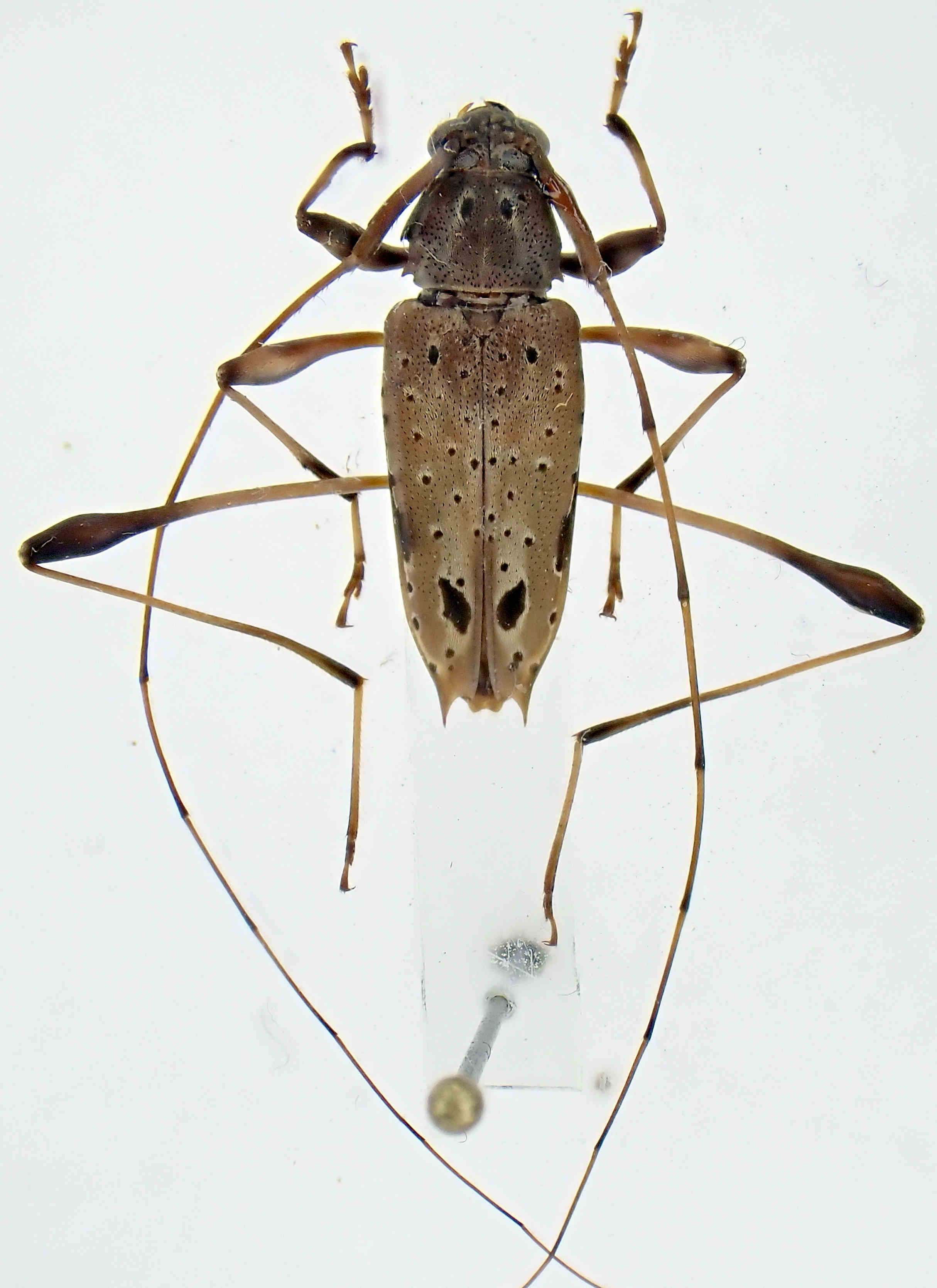
Equateur Esmeraldas taille 12 mm
Bonjour, c'est proche de Anisopodus flavomarginatus Vlasak, Santos-Silva & Nascimento 2020 |
|
|
Larry Bezark
Member Macrodontia
    
USA
2578 Posts |
Posted - 01/10/2025 : 18:51:05
|
This is an interesting specimen, Gerard.
Geographically it appears to be A. flavomarginatus Vlasak et. al., however the black pronotal maculae, while margined with yellow (gray), are placed much more anteriorly and are much smaller.
Also, The body shape of this male appears more elongate than in A. flavomarginatus Vlasak et. al, and the subapical elytral maculae are not touching along the suture.
And finally, in your specimen the basal part of the elytra is densely punctate, and there is no central lateral black macula.
So, for me, this is Anisopodus arachnoides (Audinet-Serville).
Larry B.
|
Edited by - Larry Bezark on 01/10/2025 18:51:32 |
 |
|
|
Gerard
Scientific Collaborator
    
France
5486 Posts |
Posted - 01/10/2025 : 19:15:56
|
Bonjour Larry, Ça semble être effet cette espèces. Etonnent sur cette repartissions. |
 |
|
|
Larry Bezark
Member Macrodontia
    
USA
2578 Posts |
Posted - 01/10/2025 : 19:29:32
|
Oui, cela étendrait considérablement la distribution connue vers l’Ouest.
Larry B. |
 |
|
| |
Topic  |
|