Cerambycoidea Forum
Cerambycoidea Forum
Home | Profile | Register | Active Topics | Members | Search | FAQ
Username:
Password:
Save Password
Forgot your Password?

 All Forums
 not Cerambycoidea
 Coleoptera
 Namibia: Meloidae
 New Topic  Reply to Topic
 Send Topic to a Friend
 Printer Friendly
| More
Author  Topic Next Topic  

Jaguarito
Member Purpuricenus

France
146 Posts

Posted - 30/11/2025 :  16:19:56  Show Profile  Email Poster  Reply with Quote

249.38 KB

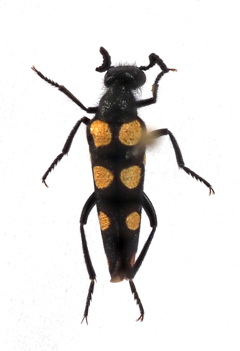
Bonjour,
Ce spécimen de Namibie a été collecté le 24 septembre 2006, dans les dunes de Sossluvei.
La documentation sur le Net étant quasiment inexistante, je n'ai pas pu l'identifier. Auriez vous, svp, connaissance de cette espèce ?
Merci d'avance.

Pierre
Member Rosenbergia

Switzerland
1804 Posts

Posted - 30/11/2025 :  16:49:02  Show Profile  Email Poster  Reply with Quote
C'est un Meloïdae (Mylabrini), pas un longicorne

Edited by - Pierre on 30/11/2025 17:47:24
Go to Top of Page
   Topic Next Topic  
 New Topic  Reply to Topic
 Send Topic to a Friend
 Printer Friendly
| More
Jump To:
Cerambycoidea Forum © 2000-08 Snitz Communications Go To Top Of Page
Powered By: Snitz Forums 2000 Version 3.4.07