|
Pierre
Member Rosenbergia
   
Switzerland
1793 Posts |
Posted - 04/12/2025 : 10:32:48
|
 145.55 KB
 182.26 KB
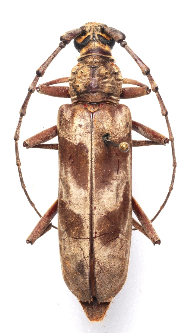
Ce spécimen d'Afrodissus mesure 40mm. Je ne parviens pas à me faire une idée quant à l'identification. Bouyer (2018) a repris le fil des Pachydissus mis en place par Adlbauer (2002) en précisant des positions de P. vicarius Aurivillius, 1907 et de P. regius Aurivillius, 1907 et ajoutant des espèces nouvelles. Mais j'ai besoin d'aide pour bien interpréter cette étude... |
Edited by - Pierre on 04/12/2025 18:54:20 |
|