| Author |
Topic  |
|
|
Pierre
Member Rosenbergia
   
Switzerland
1840 Posts |
Posted - 18/02/2026 : 07:38:28
|
 152.22 KB
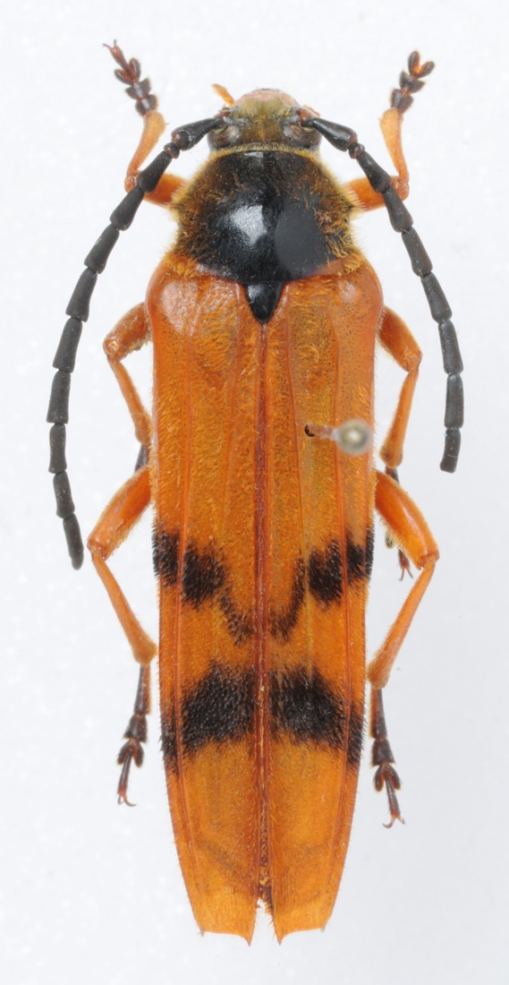
Australia is quite a black box for me... The labes says: Boonoo-Boonoo, N.S.W. W.D., 20-12-56 25mm.
A bit out of topic: the general body shape and coloration of this beetle recall some australian Buprestidae. The convergent evolution is striking. |
Edited by - Pierre on 18/02/2026 09:24:57 |
|
|
Gontran
Member Rosenbergia
   
Canada
1159 Posts |
Posted - 18/02/2026 : 15:05:11
|
| Je pense qu'il s'agit de Tragocerus spencei Hope. |
Gontran |
 |
|
|
Gontran
Member Rosenbergia
   
Canada
1159 Posts |
Posted - 18/02/2026 : 15:07:51
|
| Plutôt T. spencii |
Gontran |
 |
|
|
Pierre
Member Rosenbergia
   
Switzerland
1840 Posts |
Posted - 18/02/2026 : 16:57:27
|
| Hmmm... Tragocerus, ça me va en effet. Par contre, avec les antennes noires, pourquoi pas plutôt T. halamturina Tepper, 1887 (vide Larry's Old World site)? |
 |
|
|
Gontran
Member Rosenbergia
   
Canada
1159 Posts |
Posted - 18/02/2026 : 20:32:15
|
| Bien possible en effet qu'il y ait erreur mais je n'ai que l'espèce aux antennes noires identifiée spencei = spencii from New South Wales, reçue ainsi identifiée en 1975. |
Gontran |
 |
|
|
Francesco
Forum Admin
    
Luxembourg
9675 Posts |
Posted - 19/02/2026 : 12:15:56
|
| Ca devrait être Tragocerus halmaturina, qui a, justement, les antennes et les tarses noirs. |
 |
|
|
Pierre
Member Rosenbergia
   
Switzerland
1840 Posts |
Posted - 19/02/2026 : 13:18:15
|
Oui, je ne vois pas autre chose que ça. Merci à tous les deux ! |
 |
|
| |
Topic  |
|