|
Robert
Member Rosenbergia
   
Canada
1351 Posts |
Posted - 11/03/2026 : 03:50:49
|
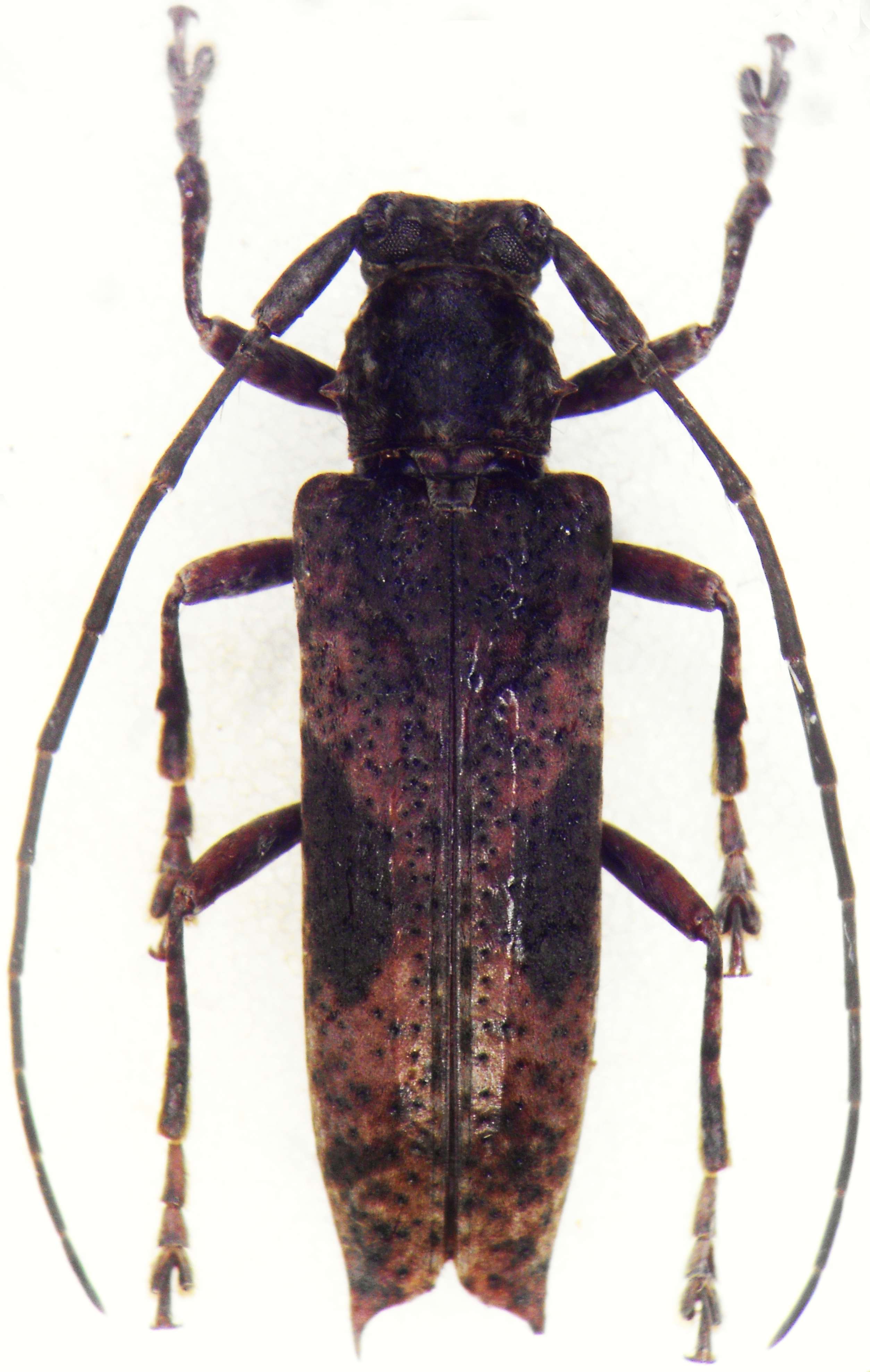
 501.02 KB
Madagascar, Haute Matsiatra, Ranomafana, XI-2020 14.5 mm Est-ce que ça pourrait être Paradiadelia mediofusca Breuning, 1957 ? Si je me fie à la description (Faune de Madagascar IV), ça colle assez bien. |
Robert V. |
Edited by - Robert on 11/03/2026 04:32:40 |
|