| Author |
Topic  |
|
Xavier
Scientific Collaborator
    
France
12549 Posts |
Posted - 16/11/2011 : 20:12:20
|
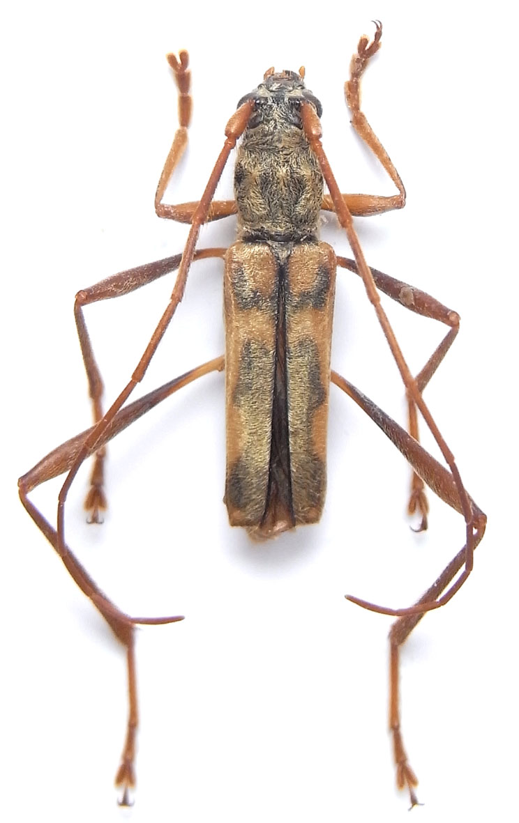
7-12 mm, du nord-est Laos. Ressemble beaucoup à Acrocyrtidus avarus Holzschuh, 1989, mais tous mes exemplaires ont l'apex des élytres noir, et une tache médiane différente de l'espèce représentée sur BioLib Qu'en penser ? |
Edited by - Xavier on 09/12/2018 09:18:09 |
|
|
Xavier
Scientific Collaborator
    
France
12549 Posts |
Posted - 12/08/2012 : 19:19:34
|
Sûr, ce n'est pas Acrocyrtidus avarus Holzschuh, 1989. Mais je n'ai pas avancé sur cette espèce ! |
 |
|
|
Xavier
Scientific Collaborator
    
France
12549 Posts |
Posted - 14/11/2014 : 18:58:10
|
 Illustration de Acrocyrtidus avarus Holzschuh, 1989. Pierre va traduire en français la description. |
 |
|
|
Francesco
Forum Admin
    
Luxembourg
9674 Posts |
Posted - 14/11/2014 : 22:08:46
|
| En considérant la longueur des élytres, ça ressemble plus à une Callichromopsis. |
 |
|
|
Xavier
Scientific Collaborator
    
France
12549 Posts |
Posted - 14/11/2014 : 22:46:38
|
Je ne connais pas du tout ce genre, mais je vois qu'il appartient aussi aux Compsocerini. Si c'est le cas, mon espèce est forcément nouvelle. Vérifié : aucune des trois espèces connues. |
Edited by - Xavier on 14/11/2014 22:53:26 |
 |
|
|
Xavier
Scientific Collaborator
    
France
12549 Posts |
Posted - 14/11/2014 : 23:00:56
|
Pourquoi pas un nouveau genre me dit ma femme ?  |
 |
|
|
Xavier
Scientific Collaborator
    
France
12549 Posts |
Posted - 15/11/2014 : 14:47:59
|

En considérant que ces spécimens font la même longueur (cf description d'Holz.), le rapport longueur des élytres/largeur aux épaules est de 2,64 pour mon spécimen, 2,92 pour A.avarus Holz. |
 |
|
|
Xavier
Scientific Collaborator
    
France
12549 Posts |
Posted - 15/11/2014 : 15:38:08
|
Dans la traduction (merci Pierre ) de la description de A.avarus Holz., "Elytres 3,1 fois plus longs que larges à la base" . Je n'étais pas loin  |
 |
|
|
Francesco
Forum Admin
    
Luxembourg
9674 Posts |
Posted - 15/11/2014 : 18:32:26
|
| Je vois aussi de pattes plus longs... c'est pour cela que je pensais à Callichromopsis. |
 |
|
|
Xavier
Scientific Collaborator
    
France
12549 Posts |
Posted - 18/11/2014 : 12:01:51
|
je ne sais pas pour les pattes,... cela vient peut-être de l'étalage (plus relevées ?)
J'ajoute deux autres photographies pour la variation des macules noires sur les élytres, et une vue de dessous (même données) :
   |
Edited by - Xavier on 18/11/2014 12:02:30 |
 |
|
|
Xavier
Scientific Collaborator
    
France
12549 Posts |
Posted - 18/11/2014 : 19:37:24
|
Dans la description du genre Acrocyrtidus par Jordan, les antennes ont des épines du 3ème au 6ème segment. L'espèce d'Holzschuh n'en a pas, mes spécimens non plus. Ce ne sont donc pas des Acrocyrtidus ? |
 |
|
|
Francesco
Forum Admin
    
Luxembourg
9674 Posts |
Posted - 18/11/2014 : 21:12:25
|
Ça pourrait être quelque chose d’intermédiaire... bien si Callichromopsis a les tibias postérieures plus longues et spatulées.
quote: Originally posted by Xavier
Pourquoi pas un nouveau genre me dit ma femme ? 
Il faudrait voir si Lautitia Matsushita, 1933 et Mausaridaeus Pic, 1903 sont vraiment de synonymes de Acrocyrtidus. |
 |
|
|
Xavier
Scientific Collaborator
    
France
12549 Posts |
Posted - 18/11/2014 : 21:37:36
|
Le type de Mausaridaeus Pic, 1903 est sur le forum, et semble vraiment identique à l' Acrocyrtidus fasciatus Jordan, 1894. Pour Lautitia Matsushita, 1933, ça va être plus compliqué à vérifier. |
 |
|
|
Francesco
Forum Admin
    
Luxembourg
9674 Posts |
Posted - 18/11/2014 : 22:20:52
|
| Elle est dans la library: je vais la lire. |
 |
|
|
Francesco
Forum Admin
    
Luxembourg
9674 Posts |
Posted - 18/11/2014 : 22:25:22
|
Il ne parle pas d'antennes épineuses... de toute façon, Matsushita a confronté ce genre à Thranius. Je n'arrive pas à voir si les antennes sont épineuses ou pas.
 Lautitia elegantula |
 |
|
|
Xavier
Scientific Collaborator
    
France
12549 Posts |
Posted - 19/11/2014 : 08:48:58
|
| Je vois un angle prononcé à l'apex intérieur du segment 3, ensuite ? |
 |
|
Topic  |
|