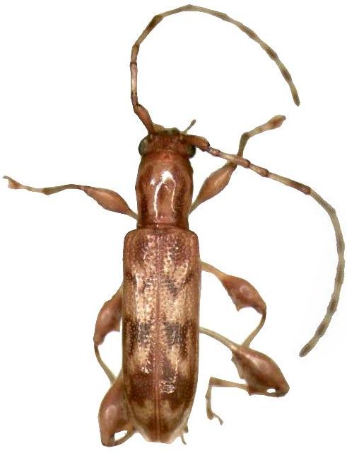
Plectromerus dentipes Cerambycinae  Curiini
Plectromerus dentipes (Olivier, 1790)
Florida (USA)

Distribution:
Antilles (Cuba). Introduced in se USA