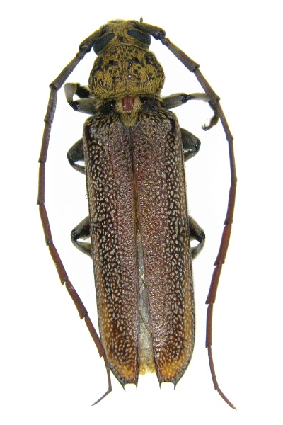
Praxithea derourei Cerambycinae  Torneutini
Praxithea derourei (Chabrillac, 1857)
male, Brazil

Distribution:
e Brazil, Bolivia, Paraguay, Uruguay, Argentina