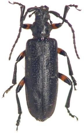
Cyrtonops tonkineus Disteniidae  Cyrtonopini
Cyrtonops tonkineus Fairmaire, 1895
female

Distribution:
China (Guangxi, Hainan), N. Vietnam, N. Laos