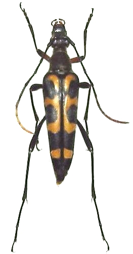
Leptura (Leptura) mimica Lepturinae  Lepturini
Leptura (Leptura) mimica Bates, 1884
female, Russia

Distribution:
Russia (Sakhalin), Japan