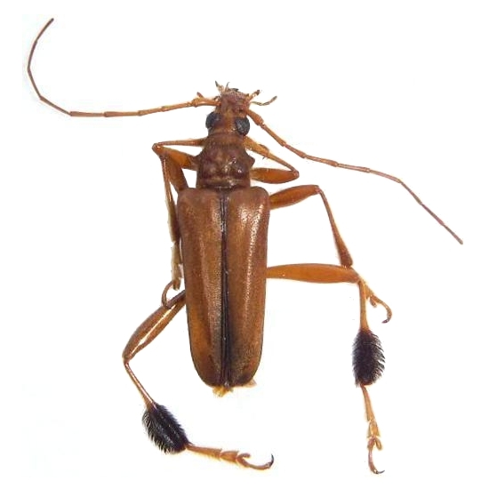
Artelida crinipes Dorcasominae  Apatophyseini
Artelida crinipes (Thomson, 1864)
female, Toamasina

Distribution:
Madagascar