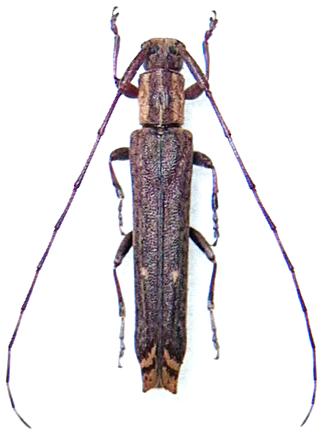
Euseboides matsudai Lamiinae  Desmiphorini
Euseboides matsudai Gressitt, 1938
Japan

Distribution:
Japan