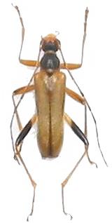
Pidonia (Pidonia) kyusyuensis Lepturinae  Rhagiini
Pidonia (Pidonia) kyusyuensis Yamawaki, 1959
male, Japan

Distribution:
Japan