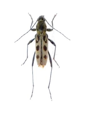
Chlorophorus simillimus Cerambycinae  Clytini
Chlorophorus simillimus Kraatz, 1879
male, Ussuri (Russia)

Distribution:
e Russia, Mongolia, ne China, Korea, Japan