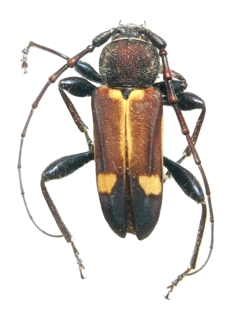
Calydon globithorax Cerambycinae  Callidiini
Calydon globithorax (Fairmaire & Germain, 1861)
male, Chile

Distribution:
Chile, Argentina