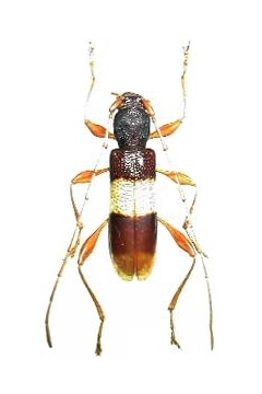
Xenocompsa semipolita Cerambycinae  Achrysonini
Xenocompsa semipolita (Fairmaire & Germain, 1859)
male, Chile

Distribution:
Chile