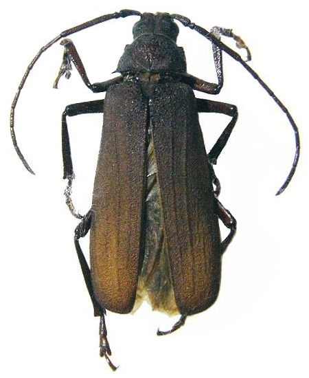
Anomotoma octocostata Prioninae  Macrotomini
Anomotoma octocostata (Quedenfeldt, 1885)
female, Ivory Coast

Distribution:
Ivory Coast, Ghana, Togo, Benin, Nigeria, Cameroon, Central Africa, Equatorial Guinea, Gabon, Congo, Zaire