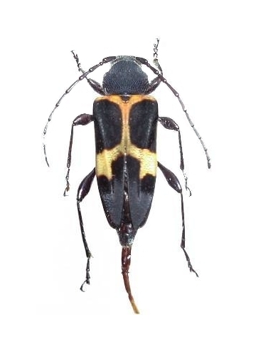
Calydon submetallicum Cerambycinae  Callidiini
Calydon submetallicum (Blanchard, 1851)
female. Chile

Distribution:
Chile, s Argentina