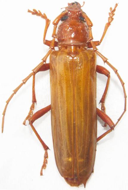
Atylostagma politum Cerambycinae  Phoracanthini
Atylostagma politum White, 1853
Mexico

Distribution:
sw USA (Arizona), Mexico, Guatemala, Honduras, Nicaragua, Costa Rica, Panama, Colombia