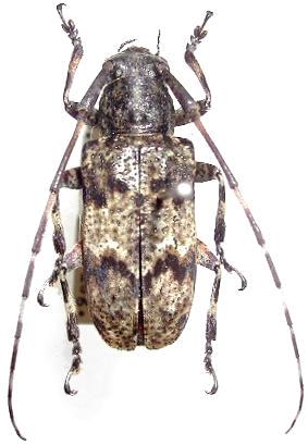
Mesosa (Aplocnemia) longipennis Lamiinae  Mesosini
Mesosa (Aplocnemia) longipennis Bates, 1873
female, Japan

Distribution:
w Russia, Korea, China, Taiwan, Japan