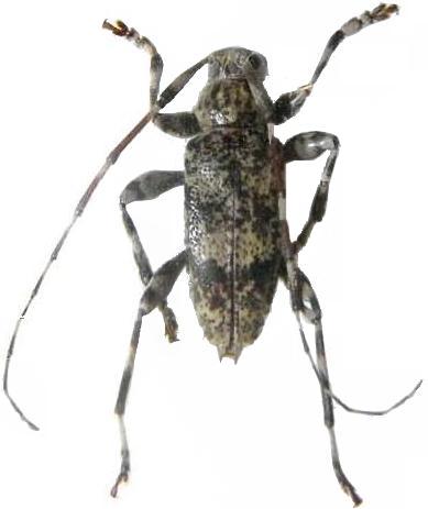
Graphisurus fasciatus Lamiinae  Acanthocinini
Graphisurus fasciatus (DeGeer, 1775)
male, Eastern USA

Distribution:
Canada, e USA