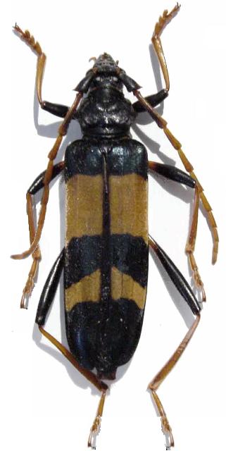
Aphrodisium (Opacaphrodisium) alabardae Cerambycinae  Callichromatini
Aphrodisium (Opacaphrodisium) alabardae Ritsema, 1888


Distribution:
Indonesia (Java)