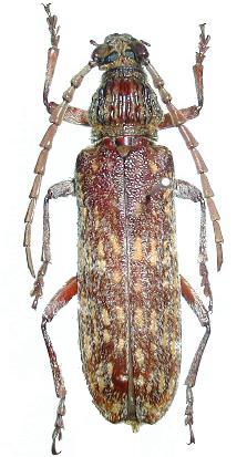
Rhytidodera bowringii Cerambycinae  Cerambycini
Rhytidodera bowringii White, 1853
female, Thailand

Distribution:
s China, Nepal, Myanmar, Thailand, Laos, Vietnam