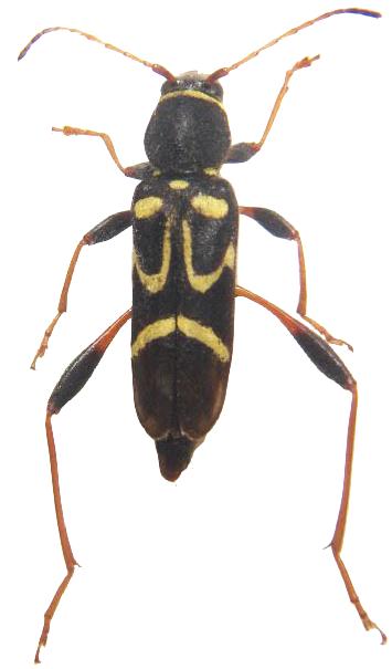
Clytus ruricola Cerambycinae  Clytini
Clytus ruricola (Olivier, 1795)


Distribution:
Canada, e USA