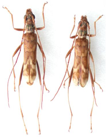
Leptoxenus ibidiiformis Cerambycinae  Xystrocerini
Leptoxenus ibidiiformis Bates, 1877
males, Japan

Distribution:
Korea, China, Taiwan, Japan