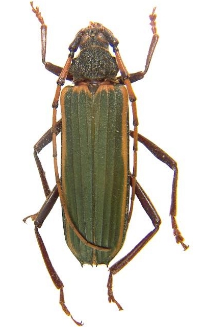
Chlorida costata Cerambycinae  Bothriospilini
Chlorida costata Audinet-Serville, 1834
female,

Distribution:
se Brazil, Paraguay, Uruguay, Argentina